Save
Ask
Tour
Hide
$179,000
3 Days On Site
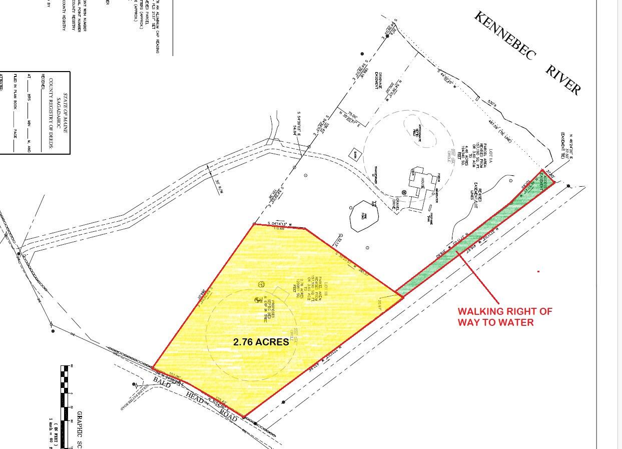
17-1 Bald Head RoadArrowsic, ME 04548
For Sale|Land|Active
County:
Sagadahoc
Days online/new listing status provided by Showcase IDX.
Listing courtesy of Tyson Soule of Vitalius Real Estate Group, LLC (207) 831-4326
Call Now: 207.532.6573
Is this the listing for you? We can help make it yours.
207.532.6573



Save
Ask
Tour
Hide
Mortgage Calculator
Monthly Payment (Est.)
$817Calculator powered by Showcase IDX, a Constellation1 Company. Copyright ©2026 Information is deemed reliable but not guaranteed.
Wonderful opportunity to build your new home in charming Arrowsic! This gently sloping and nearly 3 acre wooded lot contains mature white pine, maple and oak trees. The lot has been surveyed and even has a walking right of way to the Kennebec River for all your watercraft recreation and enjoyment. Only 15 minutes from downtown Bath, where you'll find shopping, restaurants, a waterfront park and more. And Reid State Park Beach in Georgetown is just 20 minutes down the road. Don't miss this one...schedule your showing today!
Save
Ask
Tour
Hide
Listing Snapshot
Price
$179,000
Days On Site
3 Days
Bedrooms
N/A
Inside Area (SqFt)
N/A
Total Baths
N/A
Full Baths
N/A
Partial Baths
N/A
Lot Size
2.76 Acres
Year Built
N/A
MLS® Number
1651646
Status
Active
Property Tax
$1
HOA/Condo/Coop Fees
N/A
Sq Ft Source
N/A
Days online/new listing status provided by Showcase IDX.
Friends & Family
Recent Activity
| 4 days ago | Listing first seen on site | |
| 4 days ago | Listing updated with changes from the MLS® |
Price history, status history, and update history provided by Showcase IDX.
General Features
Acres
2.76
Sewer
Septic Needed
Zoning
Residential
Save
Ask
Tour
Hide
Exterior Features
Lot Features
WoodedWaterfront
Waterfront
Yes
Waterfront Features
Kennebec River
Community Features
Roads
GravelDirt
Listing courtesy of Tyson Soule of Vitalius Real Estate Group, LLC (207) 831-4326
Listing data is derived in whole or in part from the Maine IDX and is for consumers' personal, noncommercial use only. Dimensions are approximate and not guaranteed. All data should be independently verified. © 2026 Maine Real Estate Information System, Inc. All Rights Reserved.
Last checked 2026-02-15 03:33 PM UTC
Listing data is derived in whole or in part from the Maine IDX and is for consumers' personal, noncommercial use only. Dimensions are approximate and not guaranteed. All data should be independently verified. © 2026 Maine Real Estate Information System, Inc. All Rights Reserved.
Last checked 2026-02-15 03:33 PM UTC
Neighborhood & Commute
Source: Walkscore
Disclosure: Community information and market data powered by Constellation Data Labs. Information is deemed reliable but not guaranteed.
Save
Ask
Tour
Hide
Did you know? You can invite friends and family to your search. They can join your search, rate and discuss listings with you.