Save
Ask
Tour
Hide
$75,000
New Listing
841 Beech Hill RoadNorthport, ME 04849
For Sale|Land|Active
County:
Waldo
Days online/new listing status provided by Showcase IDX.
Listing courtesy of James Nealey of Eagle Real Estate (207) 338-4848
Call Now: 207.532.6573
Is this the listing for you? We can help make it yours.
207.532.6573



Save
Ask
Tour
Hide
Mortgage Calculator
Monthly Payment (Est.)
$342Calculator powered by Showcase IDX, a Constellation1 Company. Copyright ©2026 Information is deemed reliable but not guaranteed.
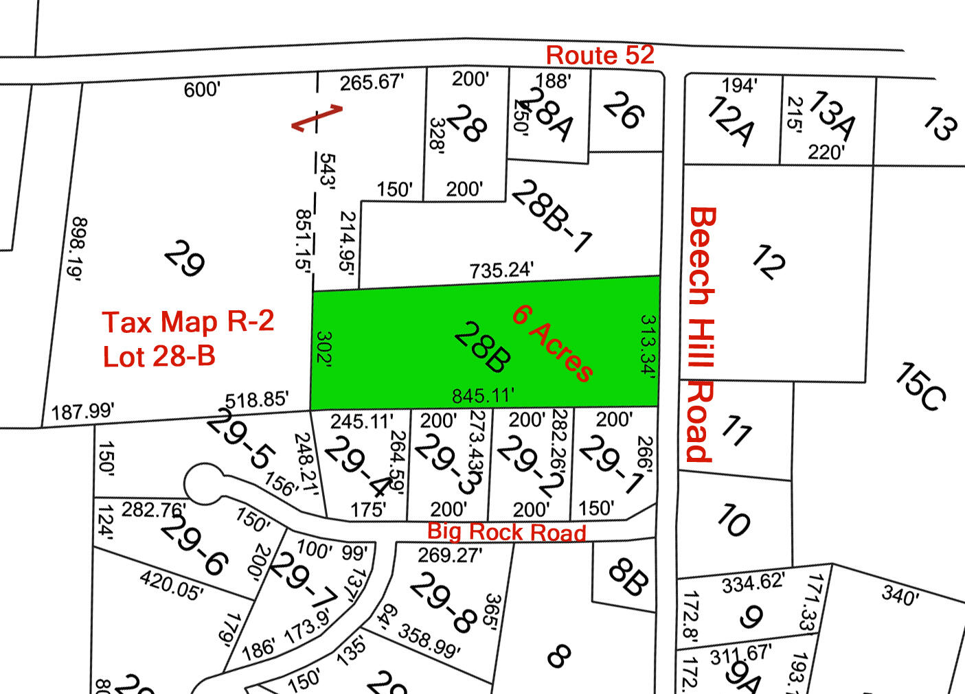
Northport - 6 acre Lot with a driveway. 4 Miles from Belfast. 6 Miles to Bayside and the ocean. 16 Miles to Camden.
Save
Ask
Tour
Hide
Listing Snapshot
Price
$75,000
Days On Site
0 Days
Bedrooms
N/A
Inside Area (SqFt)
N/A
Total Baths
N/A
Full Baths
N/A
Partial Baths
N/A
Lot Size
6 Acres
Year Built
N/A
MLS® Number
1658875
Status
Active
Property Tax
$1,035
HOA/Condo/Coop Fees
N/A
Sq Ft Source
N/A
Days online/new listing status provided by Showcase IDX.
Friends & Family
Recent Activity
| 18 hours ago | Listing first seen on site | |
| 18 hours ago | Listing updated with changes from the MLS® |
Price history, status history, and update history provided by Showcase IDX.
General Features
Acres
6
Sewer
None
Water Source
None
Zoning
No
Save
Ask
Tour
Hide
Exterior Features
Frontage
313.0
View
Trees/Woods
Waterview
Trees/Woods
Community Features
School District
RSU 71
Schools
School District
RSU 71
Elementary School
Unknown
Middle School
Unknown
High School
Unknown
Listing courtesy of James Nealey of Eagle Real Estate (207) 338-4848 Bought with of
Listing data is derived in whole or in part from the Maine IDX and is for consumers' personal, noncommercial use only. Dimensions are approximate and not guaranteed. All data should be independently verified. © 2026 Maine Real Estate Information System, Inc. All Rights Reserved.
Last checked 2026-04-23 03:44 PM UTC
Listing data is derived in whole or in part from the Maine IDX and is for consumers' personal, noncommercial use only. Dimensions are approximate and not guaranteed. All data should be independently verified. © 2026 Maine Real Estate Information System, Inc. All Rights Reserved.
Last checked 2026-04-23 03:44 PM UTC
Neighborhood & Commute
Source: Walkscore
Disclosure: Community information and market data powered by Constellation Data Labs. Information is deemed reliable but not guaranteed.
Save
Ask
Tour
Hide
Did you know? You can invite friends and family to your search. They can join your search, rate and discuss listings with you.