Save
Ask
Tour
Hide
$1,065,000
1 Day On Site
19 Elmwood AvenueScarborough, ME 04074
For Sale|Single Family Residence|Active
4
Beds
3
Total Baths
2
Full Baths
1
Partial Bath
2,130
SqFt
$500
/SqFt
2026
Built
County:
Cumberland
Days online/new listing status provided by Showcase IDX.
Listing courtesy of Jeffrey Walker of Signature Homes Real Estate Group, LLC (207) 749-2802
Call Now: 207.532.6573
Is this the listing for you? We can help make it yours.
207.532.6573



Save
Ask
Tour
Hide
Mortgage Calculator
Monthly Payment (Est.)
$4,859Calculator powered by Showcase IDX, a Constellation1 Company. Copyright ©2026 Information is deemed reliable but not guaranteed.
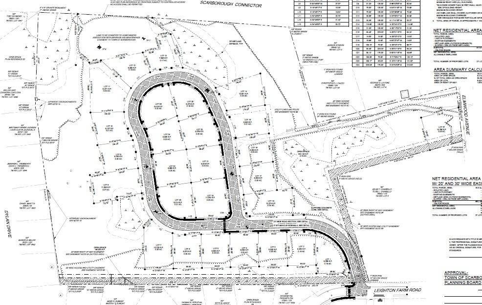
Scarborough's newest approved subdivision featuring 23 thoughtfully planned lots in a highly sought-after location. Adjacent to the popular Leighton Farm Subdivision. Choose from multiple home designs ranging from 2,000-3,500 sq ft, all showcasing high-end finishes and quality craftsmanship. Enjoy the convenience of public water and sewer, easy access to Route 1 and the turnpike, and close proximity to beautiful local beaches. Reserve your lot today and build your dream home in this exceptional new community. Close to beaches, shopping and turnpike. 10 minutes to downtown Portland.
Save
Ask
Tour
Hide
Listing Snapshot
Price
$1,065,000
Days On Site
1 Day
Bedrooms
4
Inside Area (SqFt)
2,130 sqft
Total Baths
3
Full Baths
2
Partial Baths
1
Lot Size
0.19 Acres
Year Built
2026
MLS® Number
1659256
Status
Active
Property Tax
$1
HOA/Condo/Coop Fees
N/A
Sq Ft Source
Builder
Days online/new listing status provided by Showcase IDX.
Friends & Family
Recent Activity
| yesterday | Listing first seen on site | |
| yesterday | Listing updated with changes from the MLS® |
Price history, status history, and update history provided by Showcase IDX.
General Features
Acres
0.19
Attached Garage
Yes
Garage
Yes
Garage Spaces
2
Home Warranty
Yes
Land Lease
No
Parking
Attached
Property Sub Type
Single Family Residence
Sewer
Public Sewer
SqFt Above
2130
SqFt Total
2130
Utilities
Propane
Water Source
Public
Zoning
R2
Interior Features
Cooling
Heat PumpWall Unit(s)
Electric
Circuit BreakersUnderground
Fireplace
Yes
Fireplaces
1
Flooring
TileHardwood
Heating
BaseboardHot WaterZoned
Laundry Features
Upper Level
Window Features
Double Pane WindowsLow Emissivity Windows
Save
Ask
Tour
Hide
Exterior Features
Construction Details
Vinyl Siding
Lot Features
Near Golf Course
Patio And Porch
DeckPorch
Roof
CompositionShingle
Windows/Doors
Double Pane WindowsLow Emissivity Windows
Community Features
Roads
Paved
Listing courtesy of Jeffrey Walker of Signature Homes Real Estate Group, LLC (207) 749-2802 Bought with of
Listing data is derived in whole or in part from the Maine IDX and is for consumers' personal, noncommercial use only. Dimensions are approximate and not guaranteed. All data should be independently verified. © 2026 Maine Real Estate Information System, Inc. All Rights Reserved.
Last checked 2026-04-26 05:35 PM UTC
Listing data is derived in whole or in part from the Maine IDX and is for consumers' personal, noncommercial use only. Dimensions are approximate and not guaranteed. All data should be independently verified. © 2026 Maine Real Estate Information System, Inc. All Rights Reserved.
Last checked 2026-04-26 05:35 PM UTC
Neighborhood & Commute
Source: Walkscore
Disclosure: Community information and market data powered by Constellation Data Labs. Information is deemed reliable but not guaranteed.
Save
Ask
Tour
Hide